RBOVE 170822 NH v 1870 zoekt regres bij moeder zeer ernstig gewond 7-jarig kind vanwege onvoldoende toezicht bij oversteken; osvo
- Meer over dit onderwerp:
RBOVE 170822 NH v 1870 probeert regres bij moeder zeer ernstig gewond 7-jarig kind vanwege onvoldoende toezicht bij oversteken; osvo
locatie ongeval https://goo.gl/maps/ (situatie in 2008)
2
De feiten
2.1.
Op zaterdag 8 september 2007 heeft zich op of omstreeks 14:00 uur een ernstig verkeersongeval voorgedaan op of bij de kruising van de Doctor Berlagelaan met de Barrierweg te Eindhoven.
2.2.
Bij dit verkeersongeval waren betrokken een tegen het risico van wettelijke aansprakelijkheid bij De Noordhollandsche verzekerde personenauto, merk VW Polo, kleur rood met [kenteken] , bestuurd door [betrokkene 1] en [slachtoffer] , geboren op [2000] , als voetganger. [slachtoffer] is de zoon van [gedaagde 2] en was 7 jaar toen het ongeval plaatsvond. Toen het ongeval gebeurde stond [gedaagde 2] met drie van haar kinderen op de middenberm. Twee van haar kinderen zaten in een dubbele kinderwagen, haar andere kind stond naast haar.
2.3.
[slachtoffer] heeft ten gevolge van dit ongeval zeer ernstig letsel opgelopen.
2.4.
Van het ongeval heeft de Regiopolitie Brabant Zuid-Oost proces-verbaal opgemaakt. De politie heeft op blad 1 genoteerd:
“ [gedaagde 2] verklaarde dat zij met 3 kinderen aan het wachten was op het middenstuk van de Doctor Berlagelaan. Dit deed zij omdat het licht op rood stond voor de voetgangers. [gedaagde 2] keek achterom om te kijken of haar zoon die achter hun liep was blijven staan voor het rode licht om over te steken daar [slachtoffer] nog niet op het kruisingsvlak was. Toen [gedaagde 2] achterom keek, zag zij [slachtoffer] niet. [gedaagde 2] zag het boekje waar [slachtoffer] in aan het lezen was op de grond liggen in het midden van de rijbaan op het wegdek. [gedaagde 2] zag [slachtoffer] enkele meters verder op het wegdek liggen van de rijbaan voorbij oversteekplaats”
Verder blijkt uit dit proces-verbaal eveneens op blad 1:
“Ter plaatse werden wij aangesproken door een mevrouw die verklaarde een getuige te zijn. Zij bleek genaamd te zijn:
[getuige 1] ( ... )
Zij verklaarde ons dat zij niet het ongevaal had gezien, alleen hoe het slachtoffer door de lucht had zien vliegen en op het asfalt terecht was gekomen.
Wij zagen dat op de linkerrijbaan een rode volkaswagen polo stond, gekentekend [kenteken] . In dit voertuig zat een jongen vrouw die ons later genaamd bleek te zijn:
--- [betrokkene 1] ( ... )
[betrokkene 1] verklaarde ons dat zij voor de kruising Doctor Berlagelaan/Barrierweg stond te wachten daar het verkeerslicht op rood stond. Toen het verkeerslicht op groen gesprongen was is zij met de rest van het verkeer opgetrokken om haar weg te vervolgen. Toen [betrokkene 1] net over de kruising was zag zij iets bewegen en wilde uitwijken. Echter was dit te laat en hoorde zij een klap.
( ... )
18.
Beknopte duidelijke omschrijving van het ongeval
Betrokkene 2 1 stond op de rechter rijstrook van de rechter rijbaan van de Doctor Berlagelaan stil voor de verkeerslichten op de kruising van de Doctor Berlagelaan en de Barrierweg, dit gezien vanuit de richting Europalaan. Voor haar stond eveneens een bestuurder van een personenauto voor dit verkeerslicht stil. Met groen licht reed de voorste bestuurder evenals betrokkene 2 rechtdoorgaande de kruising op en ongeveer ter hoogte van de tweede voetgangersoversteekplaats, bestemd voor voetgangers die vanaf de Barrierweg de Doctor Berlagelaan willen oversteken, hoorde betrokkene 2 een harde klap tegen de rechter voorzijde van haar voertuig. Zij zag daarop een jongetje voor haar door de lucht gaan en enkele meters verder op de rechter rijstrook neerkomen. Uit verklaringen van getuigen is gebleken dat het slachtoffertje ongeveer 10 tot 15 meter achter het kruisingsvlak vanaf een parkeerhaven de rijbaan van de Doctor Berlagelaan is opgelopen.
Hij wilde kennelijk naar zijn moeder die al gedeeltelijk overgestoken was en op het middengedeelte tussen de rijbanen van de Doctor Berlagelaan stond.
( ... )”
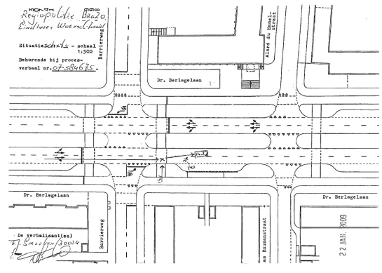
In genoemd proces-verbaal is de volgende schets (herziene exemplaar) van het ongeval opgenomen:
Verder staat in genoemd proces-verbaal:
“Verdere omschrijving plaats aanrijding:
------------------------------------------------
De Doctor Berlagelaan heeft middels een middenberm gescheiden rijbanen die weer verdeeld zijn in ieder 2 rijstroken. Verder heeft deze weg afzonderlijk gelegen fietspaden. Tussen de rijbaan en de fietspaden zijn bermen en parkeerhavens gelegen.
De vermoedelijke plaats van de aanrijding bevond zich op de rechter rijstrook van de rechter rijbaan, dit gezien vanuit de richting Europalaan, en wel op of direct achter de achterste oversteekplaats voor voertgangers die vanaf de Barrierweg de Doctor Berlagelaan willen oversteken.
Verkeerslichten:
------------------
Het verkeer ter plaatse wordt geregeld door verkeerslichten als bedoeld in artikel 68 van het RVV 1990. bij de onderscheidene verkeerslichtpunten zijn dwars op de rijbanen stopstrepen aangebracht als bedoeld in artikel 79 van dat reglement.
Door ons is bij het behandelen van de aanrijding geconstateerd dat de verkeerslichtinstallatie op de gehele kruising goed werkte. Van enig defect is ons niet gebleken.
Ongevalssituatie:
--------------------
Bij onze komst ter plaatse zagen wij 14.1, [slachtoffer] op de rechter rijstrook van de rechter rijbaan van de Doctor Berlagelaan liggen, dit gezien vanuit de richting Europalaan. De afstand tussen 14.1 en de oversteekplaats van de Barrierweg bedroeg circa 16 meter. Hij lag op zijn rug enigszins schuin op bedoelde rijstrook. Hij was niet bij kennis en door personeel van de al ter plaatse aanwezige ambulance werd eerste hulp aan hem verleend.
Op een afstand van circa 26 meter achter de achterste oversteekplaats van de Barrierweg zagen wij voertuig 14.2 enigszins schuin op de linker rijstrook van de rechter rijbaan staan. De rechter koplamp van dit voertuig was vernield en de motorkap was gedeukt.
( ... )
RESULTAAT ONDERZOEK:
Uit het onderzoek was het volgende gebleken:
De botsing had plaatsgevonden rechts op de rechter rijstrook van de Berlagelaan richting 1e Lieven de Keylaan, vermoedelijk op de noordelijke oversteekplaats.
Het slachtoffer was niet remmend aangereden, vermoedelijk omdat het, voor de bestuurster van de personenauto, onverwacht voor de auto was gekomen. De bestuurster had geen noodremming uitgevoerd. Dan was ze namelijk met een gereden snelheid van 16 km/u ongeveer 5,50 meter voorbij de oversteekplaats tot stilstand gekomen. Ze heeft het gevaar dan ook niet aan zien komen en pas gereageerd op het moment dat de botsing plaatsvond. Ze heeft nog wel iets uitgeweken, maar nauwelijks geremd, of heel laat geremd.
Het ongeval was niet te wijten aan een rijtechnisch gebrek of bijzonderheid aan het betrokken voertuig. Het ongeval was te wijten aan het gedrag van de betrokken verkeersdeelnemers.”
Op 8 september 2007 heeft [betrokkene 1] onder meer het volgende verklaard:
“( ... ) Hier ben ik linksaf geslagen en volgde de Dr. Berlagelaan tot aan de kruising met de Brarrierweg. Daar moest ik stoppen voor het rode verkeerslicht. Ik stopte achter een donkere auto op de rechterrijstrook. Die auto stond als eerste voor het rode licht te wachten.
Ik zag dat voor mij van links een vrouw stond op de middenberm. Ik zag dat die vrouw in ieder geval één kind bij d’r had. Deze vrouw was even tevoren de Dr. Berlagelaan overgestoken bij het verkeerslicht, waarvoor wij stilstonden. De vrouw was overgestoken voor mij van rechts naar links.
Enkele ogenblikken later zag ik dat het verkeerslicht in onze richting groen werd. Ik zag dat de auto vóór mij aanreed en dat deed ik vervolgens ook.
Ik wilde de kruising rechtdoor oversteken.
Plotseling hoorde ik een klap tegen de voorkant van mijn auto en zag een kind door de lucht gaan. Ik stopte onmiddellijk omdat ik begreep dat ik een aanrijding met het kind had gehad.
Ik heb het kind in het geheel niet zien aankomen en de weg oplopen. Ik kon dus ook niets doen om een aanrijding met het kind te voorkomen.
U vraagt mij waar de aanrijding precies plaatsvond en hoe hard ik reed.
Ik weet dat de aanrijding op of net over het kruisingsvlak plaats vond. Ik ben echter zodanig nog onder de indruk dat ik niet precies weet waar de aanrijding plaatsvond.
Ik schat dat ik 10-15 km per uur reed. Ik trok net op.
( ... )
Ik ben ervan overtuigd dat ik niets heb kunnen doen om een aanrijding met het kind te voorkomen. Ik vind het heel erg, maar voel me niet als de veroorzaker van de aanrijding.”
Op 8 september 2007 heeft [getuige 2] onder meer het volgende verklaard:
“Ik ben naar het politiebureau gekomen voor het afleggen van een verklaring. Ik ben namelijk getuige geweest van een aanrijding tussen een auto en een kind.
( ... )
Toen we daar stonden te wachten, zag ik dat er auto’s over de Dr. Berlagelaan reden, komende uit de richting van de Frankrijkstraat en rijdende in de richting van de 1e Lieven de Keylaan. Doordat die auto’s de kruising overreden, moeten zij groen licht gehad hebben.
( ... )
Gezien het feit dat de auto, die het kind aangereden heeft, nog een auto vóór haar had, moet het wel zo zijn dat de jongen tussen de auto’s door de Berlagelaan is overgestoken.
Ik weet niet wat de oorzaak van de aanrijding precies is, maar ik denk dat het kind ineens overstak en naar zijn moeder wilde gaan, die op de middenberm stond.”
Op 8 september 2007 heeft [getuige 3] onder meer het volgende verklaard:
“Ik ben vandaag naar het politiebureau gekomen voor het afleggen van een getuigenverklaring, aangaande een verkeersongeval.
( ... )
Ik denk ook dat er nog een auto vóór de rode auto reed op dezelfde weghelft en in dezelfde richting. Ik weet dat niet meer zeker.
( ... )
Ik weet niet wat precies de oorzaak van de aanrijding is geweest, maar naar mijn overtuiging is het kind tussen geparkeerde auto’s, en buiten het kruisingsvlak, de weg opgelopen.”
Op 13 september 2007 heeft [getuige 4] onder meer het volgende verklaard:
“Ik ben vandaag naar het politiebureau gekomen voor het afleggen van een verklaring inzake het verkeersongeval van zaterdag 8 september 2007 op de Doctor Berlagelaan te Eindhoven.
Ik reed omstreeks 14.00 uur die dag over de Doctor Berlagelaan, komende uit de richting van de Europalaan en rijdende in de richting van de kruising met de Barrierweg.
Ik reed over de linkerrijstrook van de rechterrijbaan.
Ik reed ca 45 km per uur toen ik bij de voornoemde kruising kwam. Ik zag op de rechterrijstrook van de door mij bereden rijbaan een rode VW Polo rijden.
Ik heb niet gezien of deze stilgestaan heeft voor het verkeerslicht. Toen ik deze zag en naderde was de auto rijdende. Voor mijn gevoel reed deze ongeveer dezelfde snelheid als ik.
Ik zag dat de auto op voornoemd kruising rechtdoor reed. Toen ik ongeveer óp het kruisingsvlak was, zag ik dat ca 10 tot 15 meter voorbij de kruising een jongetje stond in een parkeerhaven van de Doctor Berlagelaan.
Dat was aan de rechterzijde van de weg.
Ik zag dat kind en ik dacht bij mijzelf: “Oh, dat zal net goed gaan”. Ik vond de situatie wel gevaarlijk omdat ik anders die gedachtengang niet gehad had. Ik zag de situatie vanaf de linkerrijstrook.
Ik zag plotseling de jongen in een soort salto over die rode auto vliegen. Ik begreep dat hij door de auto was geraakt. Ik ben onmiddellijk gestopt. De rode auto ook. Ik ben uitgestapt en zag dat het kind op de rechterrijstrook van de Doctor Berlagelaan lag en hoorde dat hij geen geluid maakte.
( ... )
Ik kan niet zeggen of het kind over aan het steken was of dergelijks, want dat heb ik niet gezien. Ik kan nog wel zeggen dat de jongen niet tussen geparkeerde auto’s uitkwam, want anders had ik de jongen namelijk vanuit mijn plaats niet kunnen zien.”
2.5.
[X] Expertise- en schadeonderzoeksbureau heeft in opdracht van De Noordhollandsche een schadeonderzoek verricht. Uit hun rapportage d.d. 28 oktober 2008 blijkt onder meer het volgende:
[betrokkene 1] heeft in het kader van dit onderzoek onder meer het volgende verklaard:
“Plotseling, volkomen onverwacht, kwam bij het passeren van de eerste geparkeerde auto, tussen de direct daarachter geparkeerd staande personenauto, een klein kind rennen. Vanwege de geparkeerd staande auto’s had ik dit kind, wellicht ook door de grootte daarvan, niet eerder gezien.”
[getuige 1] heeft in het kader van dit onderzoek onder meer het volgende verklaard:
“De plaats waar het jongetje werd aangereden was na de voetgangersoversteekplaats. Ik kan mij herinneren dat het ter hoogte van het gangetje tussen twee huizenblokken op de grond lag. De aanrijding moet daarvoor zijn geweest omdat het kind meters door de lucht vloog. Ik weet dat er auto’s aan de rechterzijde van de weg, waar het kind lag, geparkeerd stonden.”
[getuige 4] heeft in het kader van dit onderzoek onder meer het volgende verklaard:
“Op de rechterrijbaan reed in mijn beleving maar één auto, zijnde een rode Volkswagen Polo. Bij het passeren van deze kruising reed de Polo ongeveer 8 à 10 meter voor mij.
( ... )
Ik had de indruk dat er geen auto’s voor de jongen aan de rechterzijde van de weg geparkeerd stonden, op de plaats waar ik hem zag. Daarachter stonden wel auto’s. Dit laatste weet ik zeker.
( ... )
Het jongetje was zo’n 10 à 15 meter achter de oversteekplaats toen de aanrijding ontstond.
( ... )
In het Eindhovens Dagblad van 10 september 2007 las ik dat er door de politie getuigen werden gezocht. Omdat de omschrijving van de toedracht een aantal onwaarheden bevatte, besloot ik contact met de politie op te nemen. De onwaarheden in het artikel betroffen de plaats waar het kind overstak, dit zou op de voetgangersoversteekplaats zijn, en de gezochte grijze Volkswagen Kever, die achter de Polo zou hebben gereden. Dit laatste kon niet omdat deze achter mij heeft gereden. Ik veronderstel dat de bestuurder van deze auto, ook als deze op de rechterrijbaan heeft gereden, het ongeval niet kan hebben zien gebeuren.”
[getuige 2] heeft in het kader van dit onderzoek onder meer het volgende verklaard:
“Ik liep zo’n 20 meter verder de Dr. Berlagelaan op, naar het kind dat op de grond lag. Ik zag dat er rechts van mij auto’s op de parkeerstrook van de Dr. Berlagelaan stonden. Het kind moet dus tussen de auto’s vandaan de straat op zijn gelopen.”
In de rapportage staat verder onder meer het volgende vermeld (pag. 10):
“Wij vernamen van opdrachtgever dat [gedaagde 2] aan de heer [C] had verteld dat het voetgangersverkeerslicht nog op groen stond toen zij met haar kinderen, met uitzondering van [slachtoffer] , overstak.
Het ongeval heeft niet op de voetgangersoversteekplaats zelf plaatsgevonden, maar gezien vanuit de rijrichting van [betrokkene 1] ongeveer 10 à 15 meter daarachter. Dit wordt ook als zodanig op de situatieschets van de politie weergegeven.
Voor de goede orde hebben wij de situatieschets aan de hand van de verkregen informatie gecompleteerd met onder andere de geparkeerd staande auto’s en de locaties waar de getuigen zich bevonden (zie bijlagen).”
2.6.
Op grond van artikel 185 Wegenverkeerswet (WVW) heeft De Noordhollandsche, gelet op de leeftijd van [slachtoffer] , een volledige schadevergoedingsverplichting aanvaard.
2.7.
Bij brief van 28 december 2009 heeft De Noordhollandsche [gedaagde 2] formeel aansprakelijk gesteld en heeft [gedaagde 2] verzocht om de schade bij RVS Schadeverzekeringen te melden. Op dezelfde dag heeft De Noordhollandsche RVS aangeschreven. Op 12 januari 2010 heeft RVS bij brief de ontvangst van deze brief bevestigd. Verder laat RVS in deze brief weten dat zij nog geen schadeaangifteformulier van [gedaagde 2] heeft ontvangen en dat om toezending daarvan is gevraagd. Voorts laat RVS weten dat zij na ontvangst van de benodigde gegevens zo spoedig mogelijk op dit schadegeval terug zal komen. Bij brief van 3 december 2010 laat RVS aan De Noordhollandsche weten dat zij, ondanks herhaalde verzoeken, nog geen schadeaangifteformulier heeft ontvangen.
2.8.
Bij brief van 29 maart 2012 heeft De Noordhollandsche [gedaagde 2] opnieuw aangeschreven en verzocht om een schadeaangifteformulier naar RVS te sturen.
2.9.
Bij beschikking van de kantonrechter te Enschede van 2 december 2013 is [gedaagde 2] onder bewind gesteld.
2.10.
Bij brief van 17 september 2015 heeft de toenmalige advocaat van De Noordhollandsche [gedaagde 2] opnieuw aangeschreven. Inmiddels was RVS overgenomen door Nationale Nederlanden. Op 19 november 2015 is [gedaagde 2] nogmaals aangeschreven door deze advocaat. De huidige advocaat van De Noordhollandsche heeft [gedaagde 2] op 27 maart 2018 aangeschreven. Bij brief van 4 juni 2018 heeft de advocaat van [gedaagde 2] gereageerd op deze brief.
2.11.
Toen [slachtoffer] 18 jaar werd is hij onder curatele gesteld en is zijn vader, de heer [D] , curator van [slachtoffer] geworden.
2.12.
Op 26 juli 2018 zijn partijen een vaststellingsovereenkomst met elkaar aangegaan, waarbij De Noordhollandsche en de heer [D] , in zijn hoedanigheid van curator van [slachtoffer] zijn overeengekomen dat alle aanspraken van benadeelde op vergoeding van de geleden en in de toekomst nog te lijden immateriële schade in de zin van artikel 6:106 van het Burgerlijk Wetboek (BW) worden vastgesteld op een bedrag van € 120.000,00.
2.13.
Bij brief d.d. 20 september 2018 heeft de advocaat van [gedaagde 2] inhoudelijk gereageerd op de aansprakelijkheidstelling en betwist dat [gedaagde 2] aansprakelijk is. [gedaagde 2] heeft om die reden de aansprakelijkheidsstelling niet bij haar verzekering gemeld.
2.14.
Bij e-mailbericht van 14 november 2018 heeft de advocaat van [gedaagde 2] aan de advocaat van De Noordhollandsche meegedeeld dat [gedaagde 2] de zaak zal melden bij haar aansprakelijkheidsverzekeraar.
2.15.
Op 10 december 2018 heeft [gedaagde 2] advocaat de schade bij Nationale Nederlanden gemeld. Nationale Nederlanden heeft bij e-mailbericht van 10 december 2018 aan de advocaat van [gedaagde 2] laten weten dat Nationale Nederlanden in haar administratie geen relatie heeft kunnen achterhalen en heeft verzocht om het polisnummer en eventuele polisbladen. [gedaagde 2] heeft geen polis kunnen vinden en heeft daarom geen polisnummer aan Nationale Nederlanden kunnen doorgeven.
2.16.
Bij brief van 3 december 2020 heeft de huidige advocaat van De Noordhollandsche [gedaagde 2] opnieuw aangeschreven.
2.17.
Bij brief van 4 maart 2021 heeft De Noordhollandsche [gedaagde 2] voor het laatst aangemaand.
3
Het geschil
3.1.
De Noordhollandsche vordert dat de rechtbank, zoveel mogelijk uitvoerbaar bij voorraad:
1. voor recht verklaart dat dat [gedaagde 2] aansprakelijk is te houden voor het [slachtoffer] op 8 september 2007 overkomen ongeval, en
2. bepaalt dat [gedaagde 2] in haar onderlinge verhouding tot De Noordhollandsche gehouden is de schade van [slachtoffer] volledig te dragen althans in dier mate dat de rechtbank in goede justitie geraden acht, en
3. [gedaagde 2] daarbij als voorschot op de totale schade veroordeelt tot betaling van € 120.000,00 aan immateriele schade, met
4. veroordeling van [gedaagde 2] in de kosten van deze procedure.
3.2.
De Noordhollandsche heeft zich op het standpunt gesteld dat voor het ontstaan van het [slachtoffer] overkomen ongeval niet alleen haar verzekerde (risico)aansprakelijk is, maar ook [gedaagde 2] , nu zij onvoldoende zorg heeft betracht jegens [slachtoffer] teneinde te voorkomen dat hij niet met haar de Doctor Berlagelaan overstak, maar achterbleef en 10 à 15 meter buiten de voetgangersoversteekplaats alsnog – toen het voetgangerslicht rood licht uitstraalde – naar zijn moeder toe wilde rennen, met alle schadelijke gevolgen van dien.
3.3.
[gedaagde 2] voert verweer.
3.4.
Op de stellingen van partijen wordt hierna, voor zover van belang, nader ingegaan.
4
De beoordeling
4.1.
Bij antwoord heeft [gedaagde 2] zich op het standpunt gesteld dat De Noordhollandsche niet-ontvankelijk is in haar vordering omdat De Noordhollandsche de vordering jegens de bewindvoerder van [gedaagde 2] had moeten instellen. Tijdens de mondelinge behandeling heeft de advocaat van [gedaagde 2] dit verweer ingetrokken en ermee ingestemd dat de bewindvoerder van [gedaagde 2] vanaf heden de formele procespartij is.
4.2.
Over de toedracht van het ongeval twisten partijen.
De Noordhollandsche heeft over de toedracht van het ongeval het volgende gesteld:
- Voorafgaand aan het ongeval was [slachtoffer] al lopend een boekje aan het lezen.
- [gedaagde 2] is met drie van haar kinderen overgestoken toen het voetgangersverkeerslicht op groen stond. [slachtoffer] is toen niet met haar meegelopen. Op dat moment stond [betrokkene 1] voor een rood verkeerslicht te wachten met voor haar nog een andere auto.
- Toen het verkeerslicht voor [betrokkene 1] op groen sprong, is [betrokkene 1] gaan rijden met een door haar geschatte snelheid van circa 20 km per uur.
- Vanaf een parkeerhaven tussen aldaar geparkeerde auto’s is [slachtoffer] de rijbaan van de Doctor Berlagelaan opgestapt. Dit was voor [betrokkene 1] volkomen onverwacht. [betrokkene 1] kon [slachtoffer] niet meer ontwijken.
- De aanrijding heeft niet plaatsgevonden op de voetgangersoversteekplaats, maar gezien vanuit de rijrichting van [betrokkene 1] , ongeveer 10 à 15 meter daarachter.
[gedaagde 2] heeft over de toedracht het volgende gesteld:
- Voorafgaand aan het ongeval was [slachtoffer] geen boekje aan het lezen.
- [gedaagde 2] is met alle vier de kinderen overgestoken op de oversteekplaats toen het voetgangersverkeerslicht op groen stond. Op dat moment stond het verkeerslicht voor [betrokkene 1] op rood. Zij stond niet tweede in de rij maar direct voorgesorteerd voor het verkeerslicht.
- [gedaagde 2] betwist dat [slachtoffer] tussen de direct daarachter geparkeerd staande auto’s de rijbaan is opgerend.
- Het staat niet vast dat [betrokkene 1] circa 20 km per uur reed.
- Geen van de getuigen heeft het ongeval zien gebeuren.
- [gedaagde 2] zelf heeft over de toedracht omstreeks 30 juni 2022 de volgende schriftelijke (nadere) verklaring afgelegd:
“Ik herinner mij niet zo heel veel meer van het ongeluk. De plek van het ongeluk was een voetgangersoversteekplaats, een zebrapad met een middenberm. Het verkeerslicht stond eerst op rood. Ik stond met mijn kinderen te wachten voor het verkeerslicht. [slachtoffer] stond rechts van mij. [kind 1] stond links van mij. De twee jongste kinderen, [kind 2] en [kind 3] zaten in een dubbele kinderwagen. Toen het licht op groen sprong zei ik tegen [slachtoffer] , ‘Loop maar achter mij op het zebrapad’. Tegen [kind 1] zei ik dat hij voor mij moest lopen op het zebrapad. Zelf duwde ik de dubbele kinderwagen voort. Dit vond ik niet gevaarlijk. Het verkeerslicht stond immers op groen. [slachtoffer] wist wat hij moest doen en wij liepen over een zebrapad. Toen ik op de middenberm was aangekomen hoorde ik een klap. Ik draaide mij op. De aanrijding was gebeurd. Ik zag dat [slachtoffer] op de weg lag.”
De rechtbank komt op grond van het proces-verbaal van de Regiopolitie Brabant Zuid-Oost en het onderzoek verricht door [X] Expertise- en schadeonderzoeksbureau tot de volgende conclusies.
1. [betrokkene 1] is niet door rood licht gereden. Geen van de getuigen heeft dit verklaard. Evenmin is de politie tot dit oordeel gekomen. [betrokkene 1] heeft zelf verklaard dat ze stond te wachten voor rood licht en toen het licht op groen sprong, is gaan rijden, net als de andere voor het verkeerslicht wachtende auto’s. [betrokkene 1] stond niet als eerste wachtende auto bij het verkeerslicht. [betrokkene 1] heeft zelf verklaard dat er nog een auto voor haar stond te wachten. [getuige 2] heeft verklaard dat ze meerdere auto’s zag rijden en dat zij er daarom vanuit ging dat die auto’s groen licht hadden. Voorts heeft deze getuige verklaard dat er nog een auto vóór de auto van [betrokkene 1] reed. Ook [getuige 3] heeft verklaard dat hij dacht dat er nog een auto vóór de rode auto van [betrokkene 1] reed. Het kan niet anders dan dat dit de auto was, die vóór [betrokkene 1] voor het verkeerslicht had staan wachten. Als [betrokkene 1] door rood zou zijn gereden, zou de auto vóór haar ook door rood licht moeten zijn gereden. Dit lijkt niet reëel. Geen enkele getuige heeft dit verklaard. Ook in ‘de beknopte duidelijke omschrijving van het ongeval’ in het proces-verbaal van de politie staat dat [betrokkene 1] door groen licht reed.
2. Omdat [betrokkene 1] door groen licht reed, moet [slachtoffer] zijn overgestoken op het moment dat het voetgangersverkeerslicht voor hem op rood stond. Uit het proces-verbaal van de politie blijkt immers dat de verkeerslichtinstallatie op de gehele kruising goed werkte. Alleen [gedaagde 2] heeft op een veel later moment verklaard dat [slachtoffer] met haar is overgestoken toen het verkeerslicht voor hen op groen stond. Uit de verklaring van [gedaagde 2] van vlak na het ongeval blijkt echter dat [gedaagde 2] [slachtoffer] niet heeft zien oversteken. [gedaagde 2] kon dus niet weten of [slachtoffer] groen licht had, toen hij overstak. Bovendien is [slachtoffer] niet tegelijk met zijn moeder, broer en zusjes overgestoken. Dit blijkt uit ‘de beknopte duidelijke omschrijving van het ongeval’, opgenomen door de politie in het proces-verbaal, de verklaringen van [betrokkene 1] en [getuige 2] en [getuige 4] .
3. Het ongeval heeft plaatsgevonden ongeveer 10 tot 15 meter achter het kruisingsvlak vanaf een parkeerhaven. Zo staat het beschreven in ‘de beknopte duidelijke omschrijving van het ongeval’ in het proces-verbaal van de politie en zo heeft ook [getuige 4] verklaard. [betrokkene 1] heeft verklaard dat het ongeval heeft plaatsgevonden op of net over het kruisingsvlak.
4. Over de snelheid waarmee [betrokkene 1] reed toen zij [slachtoffer] aanreed zijn wisselende verklaringen afgelegd. Volgens [betrokkene 1] zelf reed ze op dat moment 10-15 km per uur. [getuige 4] heeft verklaard dat hij dacht dat [betrokkene 1] even hard als hijzelf reed en dat was volgens [getuige 4] circa 45 km per uur. De politie gaat er blijkens het proces-verbaal van uit dat [betrokkene 1] 16 km per uur reed (zie ‘resultaat onderzoek’).
5. Of [slachtoffer] tussen geparkeerde auto’s door de rijbaan is opgerend/opgelopen zijn ook verschillende verklaringen afgelegd. [betrokkene 1] heeft hierover verschillende verklaringen afgelegd. Tegenover de politie heeft zij verklaard dat ze [slachtoffer] helemaal niet heeft gezien. Uit de rapportage van [X] Expertise- en schadeonderzoeksbureau blijkt dat [betrokkene 1] heeft verklaard dat [slachtoffer] tussen geparkeerde auto’s door de weg is opgerend. [getuige 3] heeft verklaard dat hij het ongeval niet heeft gezien, maar dat het zijn overtuiging is geweest dat [slachtoffer] tussen geparkeerde auto’s, en buiten het kruisingsvlak, de weg is opgelopen. [getuige 4] heeft verklaard dat [slachtoffer] niet tussen geparkeerde auto’s uitkwam, want anders had hij [slachtoffer] niet vanuit zijn plaats kunnen zien.
6. Geen van de getuigen heeft verklaard dat [slachtoffer] een boekje aan het lezen was, toen hij overstak.
4.3.
De vraag die beantwoord dient te worden is of [gedaagde 2] aansprakelijk is te houden voor het op 8 september 2007 [slachtoffer] overkomen ongeval en gehouden is de schade die [slachtoffer] ten gevolge van dit ongeval heeft geleden of zal lijden, geheel, al dan niet gedeeltelijk, dient te dragen. De Noordhollandsche heeft een beroep gedaan op de artikelen 6:162 en 1:247 lid 2 BW. De vraag is of [gedaagde 2] jegens [slachtoffer] onrechtmatig heeft gehandeld (artikel 6:162 BW en of zij tekort dus is geschoten in haar ouderlijk gezag jegens [slachtoffer] (artikel 1:247 BW).
4.4.
In het arrest van het Hof Leeuwarden van 25 september 1996, ECLI:NL:GHLEE:1996:AJ6409 heeft het hof onder meer het volgende overwogen (r.o. 16):
“Vooropgesteld dient te worden dat in de relatie ouders/kind voor ogen moet worden gehouden dat ouders bij de opvoeding van hun kind binnen redelijke grenzen aan het kind, al naar gelang zijn leeftijd, een zekere mate van vrijheid dienen te geven ten einde het kind te doen opgroeien tot een maatschappelijk aangepast individu. Dit brengt niet alleen met zich dat niet iedere gevaarscheppende situatie voor een kind moet worden vermeden, maar ook dat, indien het kind toch iets overkomt, in aanmerking nemende de bijzondere relatie kind/ouders niet te snel een onrechtmatige daad van de ouder jegens het kind mag worden aangenomen.”
In het vonnis van de rechtbank Den Haag van 29 september 2021 (ECLI:NL:RBDHA:2021:13985) heeft de rechtbank onder meer het volgende overwogen:
“4.3.
De rechtbank neemt tot uitgangspunt dat bij de beoordeling van de aansprakelijkheid van ouders jegens hun kind een verhoogde aansprakelijkheidsdrempel geldt. Dit houdt in dat de vraag of een ouder onrechtmatig jegens een kind heeft gehandeld, op grond van de bijzondere relatie tussen een ouder en zijn kind, minder snel bevestigend moet worden beantwoord. De reden daarvan zal hierna worden toegelicht.
4.4.
Een ouder heeft op grond van het bepaalde in artikel 1:247 lid l BW de plicht en het recht zijn minderjarige kind te verzorgen en op te voeden. Ingevolge lid 2 van genoemd artikel omvat verzorging en opvoeding onder meer de zorg en de verantwoordelijkheid voor de veiligheid van het kind. Een ouder heeft daarom de plicht het kind te behoeden voor gevaar. Een ouder moet op grond van lid 2 echter ook de ontwikkeling van de persoonlijkheid van het kind bevorderen. Hierbij past dat een ouder het kind de nodige vrijheid en zelfstandigheid gunt, zodat het kind zich kan ontwikkelen. Daarbij zal het kind onvermijdelijk aan risico’s worden blootgesteld. Het is in de eerste plaats aan de ouder om, aan de hand van zijn visie op de opvoeding en het karakter en de leeftijd van het kind, te bepalen welke risico’s wel en welke niet aanvaardbaar zijn. De rechter heeft deze beoordelingsvrijheid van de ouder in beginsel te respecteren. Dit betekent niet dat de keuze van een ouder niet onrechtmatig kan zijn tegenover het kind. De vraag of een goed ouder een bepaalde keuze kon maken moet worden beantwoord aan de hand van de voor een ouder in de gegeven omstandigheden geldende zorgvuldigheidsnorm. De vraag is daarbij niet onverkort of een “goed ouder” (als maatman) heeft kunnen handelen zoals is gebeurd. Evenmin zijn de algemene gezichtspunten voor gevaarzetting zonder meer bepalend.
Er moet ruimte worden gelaten voor een persoonlijke ouderlijke afweging. In deze zin is de drempel voor aansprakelijkheid verhoogd.”
De rechtbank onderschrijft de hierboven aangehaalde jurisprudentie. De rechtbank is van oordeel dat [gedaagde 2] niet onrechtmatig jegens [slachtoffer] heeft gehandeld, omdat er sprake is van een verhoogde drempel voor aansprakelijkheid van ouders jegens hun kind. Er is sprake geweest van een ongelukkige samenloop van omstandigheden. [gedaagde 2] had de intentie om tegelijkertijd met al haar kinderen bij de voetgangersoversteekplaats over te steken toen het verkeerslicht op groen stond. Deze handelwijze was veilig en niet gevaarzettend. Het ongeval vond plaats op het moment dat [gedaagde 2] nog niet wist dat [slachtoffer] haar niet had gevolgd. [gedaagde 2] had [slachtoffer] derhalve ook geen nadere aanwijzingen meer kunnen geven. Achteraf bezien was het natuurlijk veiliger geweest als [slachtoffer] bij het oversteken naast of vóór [gedaagde 2] had gelopen. Volgens [gedaagde 2] had zij bij het oversteken [slachtoffer] de opdracht gegeven om achter haar aan te lopen. Dat [gedaagde 2] [slachtoffer] de vrijheid gaf om zelfstandig, met de opdracht om achter haar aan te lopen, bij groen licht over te laten steken, zonder dat zij daar direct (toe)zicht op had, acht de rechtbank niet in strijd met de voor [gedaagde 2] geldende zorgvuldigheidsnorm die voor haar als ouder jegens [slachtoffer] geldt. Er moet ruimte worden gelaten voor een persoonlijke ouderlijke afweging. De ouder dient een kind de nodige vrijheid en zelfstandigheid te gunnen. Opvoeden betekent ook loslaten. Dit is niet zonder risico’s. Helaas is dat in deze zaak gebleken. De Noordhollandsche heeft tijdens de mondelinge behandeling verwezen naar ‘Verkeersgedrag van kinderen, de ontwikkelingsfasen/Veilig Verkeer Nederland, https://vnn.nl/ontwikkelingsfasen’. De rechtbank heeft deze pagina bezocht en trof de volgende tekst aan:
“De pagina waar u naar zoekt, is helaas niet beschikbaar of de naam ervan is gewijzigd.”
Op de site van Veilig Verkeer Nederland heeft de rechtbank wel de rubriek ‘Verkeersgedrag van kinderen, de ontwikkelingsfasen’ gevonden. Hierop staat de volgende informatie:
“Van 4 tot en met 8 jaar
- Tussen de 5 en 10 jaar ontstaat bij een kind het besef van gevaar
- Vanaf ± 5 jaar gaan kinderen fietsen; in het begin slingeren ze daarbij flink (vooral bij achteromkijken en lage snelheid)
- Vanaf ongeveer 6 jaar kennen kinderen de functie van een trottoir, een zebrapad en een verkeerslicht (rood is stoppen, groen is veilig)
- Tot de leeftijd van 8 á 9 jaar kunnen kinderen gevaren niet zien aankomen
- Tot ± 10 jaar ontwikkelt het gezichtsveld en het vermogen om vanuit de ooghoek te zien
- Tot ongeveer 10 jaar overschatten kinderen snelheid. Hierdoor wachten ze ook voor fietsers en auto’s die nog erg ver weg zijn”
Uit deze informatie blijkt dat de meeste kinderen vanaf 6 jaar de functie van een trottoir, een zebrapad en een verkeerslicht (rood is stoppen, groen is veilig) kennen. Waarschijnlijk is [slachtoffer] niet op het zebrapad overgestoken, aangezien de aanrijding naar alle waarschijnlijkheid iets voorbij het kruisingsvlak heeft plaatsgevonden. Zeer waarschijnlijk stond het voetgangersverkeerslicht op rood toen [slachtoffer] overstak. Kennelijk heeft [slachtoffer] hier niet naar gekeken en wilde hij graag zo snel mogelijk naar zijn moeder. [gedaagde 2] mocht er in beginsel echter wel op vertrouwen dat [slachtoffer] wist hoe een verkeerslicht werkt. In dat kader is door [gedaagde 2] ook aangevoerd dat [slachtoffer] enkele maanden voor het ongeval met succes een verkeersexamen op school had afgelegd.
4.5.
De Noordhollandsche heeft naar verschillende jurisprudentie verwezen. Zo heeft zij verwezen naar het arrest van het Hof Den Haag van 21 november 1996, ECLI:NL:GHSGR: 1996:AK3748, een vonnis van de rechtbank Gelderland van 10 september 2018, ECLI:NL:RBGEL:2018:4466 en een niet gepubliceerd vonnis van de rechtbank Rotterdam van 4 december 2019, geregistreerd onder nummer C/10/550291/HA ZA 18-476, welk vonnis door het Hof Den Haag is vernietigd bij arrest van 17 mei 2022, ECLI:NL:GHDHA:2022:783. In aangehaalde genoemde zaken was het voor de ouder duidelijk dat zich een mogelijk gevaarlijke situatie voordeed voor hun kind. In de onderhavige zaak was [gedaagde 2] zich echter niet bewust dat er een mogelijk gevaarlijke situatie was ontstaan, omdat [gedaagde 2] niet wist dat [slachtoffer] niet met haar was mee overgestoken. De rechtbank acht dit gegeven een wezenlijk verschil.
4.6.
Op grond van het bovenstaande zal de rechtbank de vordering van De Noordhollandsche afwijzen en haar als de in het ongelijk gestelde partij veroordelen in de kosten van deze procedure. De rechtbank begroot deze kosten aan de zijde van [gedaagde 2] op € 85,- aan verschotten (griffierecht) en € 4.425,- (2,5 punten x tarief V
€ 1.770,-) aan salaris van de advocaat. ECLI:NL:RBOVE:2022:3647
